Résumé
-
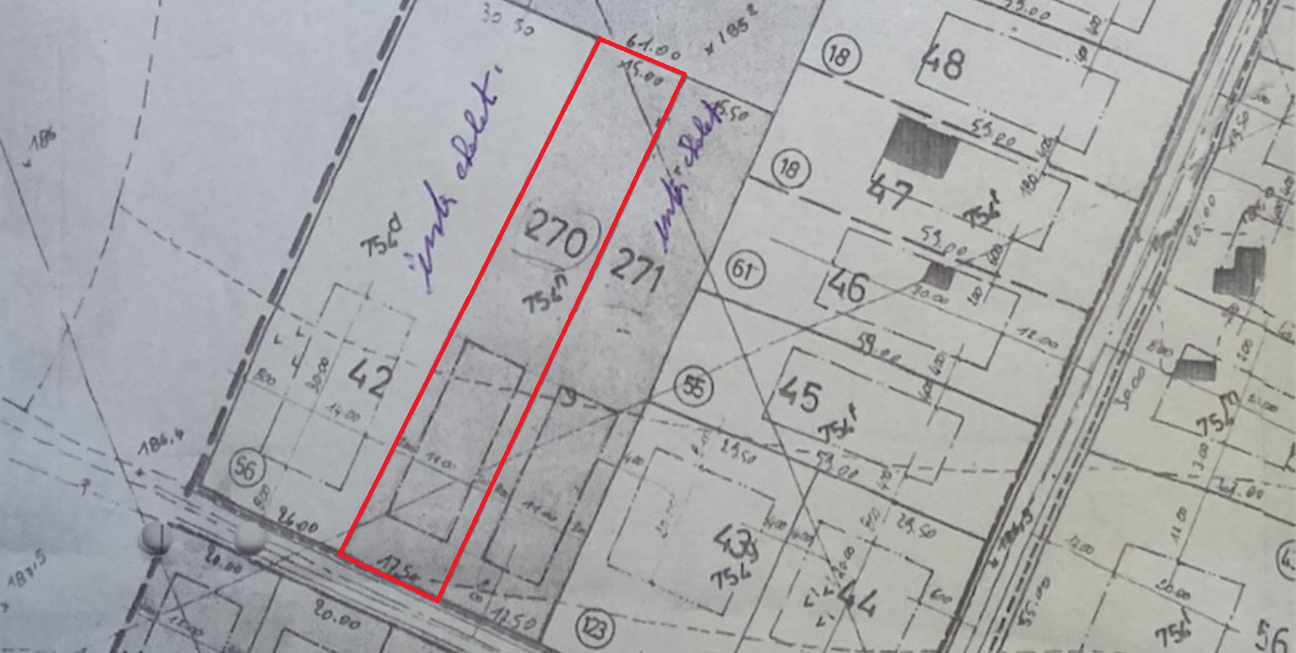
1553 m2
Erezée: Idéalement situé à Soy (Biron) à 10 minutes du charmant village de Hotton et 20 minutes de Marche-en-Famenne, venez découvrir ce terrain constructible d'une superficie de 15 ares 53 ca et libre de constructeur.
Largeur à front de voirie :17,50m.
Profondeur: 86m
Relief: Le terrain est entièrement plat et l'arrière de la parcelle se trouve dans un bois !
Raccordements (eau, électricité) disponibles à la rue.
Egouttage : Zone d'épuration individuelle: Le plan d'épuration prévoit la pose d'une station épuration individuelle avec drainage
Traitement des eaux de pluie: La commune impose la mise en place d'une citerne d'eau de pluie
Plan de secteur :
Zone de loisirs B de la commune d'Erezée au plan de secteur de MARCHE-LA ROCHE.
Situation agréable dans un environement boisé avec une rue en cul de sac !
Informations urbanistiques disponibles sur demande.
Prix souhaité: 34.900 euros
Informations cadastrales :
Commune: Erezée
Division : 4ème division SOY
Section : B
Radical: 754N
Largeur à front de voirie :17,50m.
Profondeur: 86m
Relief: Le terrain est entièrement plat et l'arrière de la parcelle se trouve dans un bois !
Raccordements (eau, électricité) disponibles à la rue.
Egouttage : Zone d'épuration individuelle: Le plan d'épuration prévoit la pose d'une station épuration individuelle avec drainage
Traitement des eaux de pluie: La commune impose la mise en place d'une citerne d'eau de pluie
Plan de secteur :
Zone de loisirs B de la commune d'Erezée au plan de secteur de MARCHE-LA ROCHE.
Situation agréable dans un environement boisé avec une rue en cul de sac !
Informations urbanistiques disponibles sur demande.
Prix souhaité: 34.900 euros
Informations cadastrales :
Commune: Erezée
Division : 4ème division SOY
Section : B
Radical: 754N
Adresse:
rue des mésanges
Commune :
Erezée
Code postal :
6997
Pays :
Belgique
ID de la propriété :
3967306
Prix :
Prix sur demande
Taille du lot de propriété :1553 m2
| Profondeur terrain | 86 m |
| électricité | Oui |
| Type d'environnement | boisé |
| Type d'environnement 2 | calme |
| Eau | Oui |
| X de coordonnées xy | 50.2978595 |
| Y de coordonnées xy | 5.4568591 |
| Orientation du jardin | nord est |
| Zone constructible | 330 m² |
| Risque d'inondation | pas situé en zone inondable |
| Largeur terrain | 17.5 |
Toutes les informations apparentes sont transmises sous conditions, les communiqués présents ne peuvent aucunement valoir engagement de vente
Toutes les informations apparentes sont transmises sous conditions, les communiqués présents ne peuvent aucunement valoir engagement de vente